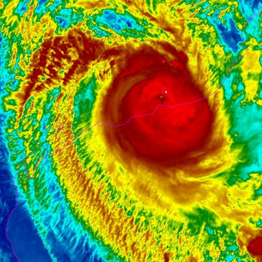
Puternicul ciclon Ilsa a lovit vestul Australiei ca o furtună de categoria 5, stabilind un nou record în ceea ce priveşte viteza vântului, însă fără a provoca pagube majore în zonele populate, scrie BBC.
Ciclonul tropical Ilsa a lovit statul în apropiere de Port Hedland, cel mai mare centru de export al fierului din lume, cu puţin înainte de miezul nopţii, ora locală.
Furtuna a fost retrogradată între timp la categoria 3, dar rămâne în vigoare o alertă Cod roşu pentru mai multe localităţi din interiorul continentului.
Primarul din Port Hedland, Peter Carter, a descris sunetul vântului care a lovit oraşul ca ”foarte sinistru şi neobişnuit” şi ”ca un tren de marfă”.

O cunoscută tavernă locală şi un parc de rulote aflate chiar pe ruta furtunii – restaurantul Pardoo – a suferit ”mari pagube”, au afirmat proprietarii săi, pe Facebook.
Până în prezent, nu sunt raportate persoane rănite, iar ciclonul nu a afectat infrastructura critică, a declarat şeful Departamentului de pompieri din regiune.
”Odată ce vom putea trimite echipe pe teren şi vom ridica elicopterele… vom merge de-a lungul coastei pentru a verifica drumurile şi alte elemente de infrastructură critică”, a declarat Peter Sutton pentru Australian Broadcasting Corporation (ABC).
Viteze ale vântului de 218 kilometri pe oră au fost înregistrate pe insula Bedout, aflată în largul coastei, când furtuna a atins uscatul, stabilind un nou record preliminar de vânt susţinut pentru 10 minute pentru Australia.
Recordul precedent era de 194 kilometri pe oră, viteză a vântului înregistrată când ciclonul George a lovit ţara, în 2007.
Deşi în nordul Australiei cicloanele nu sunt neobişnuite, această furtună este cea mai puternică din regiune în ultimii 14 ani.
Ilsa, cu vântul său distrugător, se deplasa spre interiorul continentului, dar se prognozează că furtuna va slăbi în intensitate peste noapte, până sâmbătă, a afirmat Biroul de Meteorologie.
În timp ce ciclonul se apropie, locuitorii din Port Hedland au făcut ultimele pregătiri, aşezând saci de nisip şi asigurând locuinţele şi magazinele, a declarat pentru BBC reporterul Channel Nine Ezra Holt, aflat în oraş.
El a adăugat că în oraş erau sentimente amestecate, unii oamenii nu făceau mare caz, în timp ce alţii erau mai îngrijoraţi întrucât cicloane atât de puternice sunt destul de rare.
Navele, inclusiv cele care transportă mineuri de fier, au fost mutate din golful Port Hedland în timp ce furtuna se apropia.
Ultimul ciclon de categoria 5 care a lovit vestul Australiei a fost ciclonul Laurence, în 2009. Cu doi înainte de acesta, o altă furtună de categoria 5, ciclonul George, a ucis trei oameni după ce a lovit tabere miniere aflate la sud de Port Hedland.

Articolul de mai sus este destinat exclusiv informării dumneavoastră personale. Dacă reprezentaţi o instituţie media sau o companie şi doriţi un acord pentru republicarea articolelor noastre, va rugăm să ne trimiteţi un mail pe adresa abonamente@news.ro.







